Photos of the Week: Pumpkin Patch, Witch Paddle, Giant Labubu
The aftermath of Hurricane Melissa in Jamaica, the festival of Chhath Puja in India, a bird-flu outbreak in Germany, armored-battle re-creations in Moscow, and much more

Dan Kitwood / Getty
Fable Jarvis picks up a pumpkin at Tulleys Farm ahead of Halloween, on October 28, 2025, in Crawley, England. The farm’s annual Pick Your Own Pumpkins event takes place across 60 acres of land throughout the month of October, and it makes approximately 450,000 pumpkins available.

Rodrigo Oropeza / AFP / Getty
A woman dressed as a Catrina takes part in the Catrinas Parade, ahead of the Day of the Dead, in Mexico City, on October 26, 2025.

Hans Gutknecht / Los Angeles Daily News / MediaNews Group / Getty
Doug Parker stands beside a giant pumpkin he carved in honor of the Los Angeles Dodgers for Halloween at his home in Sierra Madre, California, on October 29, 2025.

Clodagh Kilcoyne / Reuters
A performer in costume beats an illuminated drum covered with water, as part of the street-theatre group Macnas’s Halloween parade, An Treun: The Summoning of the Lost, in Galway, Ireland, on October 26, 2025.

Li Peiyun / VCG / Getty
People take photos of a giant, inflated sculpture of a Labubu, part of the Water Parade in Hong Kong’s Victoria Harbour, on October 25, 2025. The parade also features sculptures of Doraemon, Elmo, and McDonald’s Grimace.

Andreea Alexandru / AP
An Oriental shorthair cat waits to be evaluated by a judge during the FIFe World Show Romania 2025, billed as the world’s largest cat event, which brought together more than 1,000 cats from more than 30 countries, in Bucharest, Romania, on October 25, 2025.

Debarchan Chatterjee / NurPhoto / Getty
A woman dressed in a costume and frightening makeup poses as she participates in a costume competition ahead of Halloween in Kolkata, India, on October 30, 2025.

Hussein Faleh / AFP / Getty
A firefighter looks on as smoke and fire billow at the Zubair Oil Field in southern Iraq on October 26, 2025. One person was killed and at least nine others were injured in the fire, caused by a gas leak in one of the systems at an oil field, according to an initial report announced by authorities.

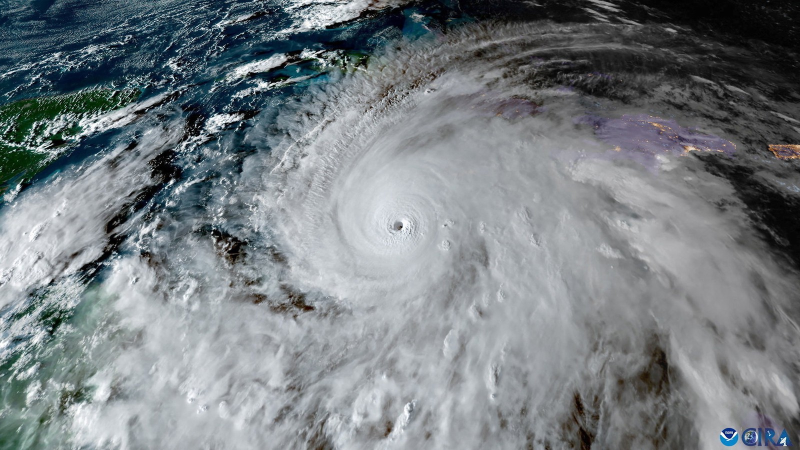
CSU / CIRA & NOAA / Reuters
A satellite view shows Hurricane Melissa over the Caribbean Sea on October 27, 2025.

Lt. Col. Mark Withee / U.S. Air Force / Getty
In this handout image, a A U.S. Air Force Reserve crew from the 53rd Weather Reconnaissance Squadron, known as the Hurricane Hunters, flies into the eye of Hurricane Melissa on October 27, 2025, over the Caribbean Sea. The crew was making a pass through the storm to collect vital weather data for the National Hurricane Center.

Matias Delacroix / AP
The Lacovia St. Thomas Anglican church sits damaged in the aftermath of Hurricane Melissa, on October 29, 2025. The storm made landfall in Jamaica the day before, as a Category 5 hurricane.

Matias Delacroix / AP
Downed trees and debris partially block a road where a convoy passes through Holland Bamboo, Jamaica, as it carries aid to Black River, which was hit by Hurricane Melissa, on October 29, 2025.

Sofiia Gatilova / Reuters
A car drives along a road covered with antidrone netting, amid Russia’s ongoing invasion of Ukraine, near the town of Sloviansk, in Donetsk, Ukraine, on October 27, 2025.

Chen Kun / VCG / Getty
An aerial view of the winding road to the Yellow River Stone Forest national geological park in Baiyin, Gansu province, China, on October 26, 2025

Tobias Schwarz / AFP / Getty
A woman goes for a walk on a sunny morning in a park in Berlin on October 26, 2025.

Niu Shipei / VCG / Getty
A villager hangs persimmons to dry at a processing factory in Xuchang, Henan province, China, on October 29, 2025.

Dan Kitwood / Getty
Families pick pumpkins at Tulleys Farm on October 28, 2025, in Crawley, England.

Wang Gang / China News Service / VCG / Getty
Tourists view Osmanthus trees that have been trimmed into rounded shapes in a garden in Hangzhou, Zhejiang province, China, on October 28, 2025.

Mladen Antonov / AFP / Getty
A woman looks out toward the steep hills outside Yangshuo, Guangxi province, China, on October 26, 2025.

Michael Probst / AP
The village of Blatten, Switzerland, is partly flooded after recent snowfall, on October 28, 2025, five months after a landslide destroyed the village.

Ruby Wallau / Getty
People dressed in costumes participate in the annual Witches and Warlocks Paddle in Morro Bay, California, on October 25, 2025.

Sefa Karacan / Anadolu / Getty
People participate in the Tushino Maneuvers in Moscow, on October 25, 2025. Friendly interclub battles are designed to recreate medieval street fights and pass the tradition to future generations.

Lan Zitao / VCG / Getty
A farmer harvests silkworm cocoons on October 26, 2025, in Neijiang, Sichuan province, China.

Ebrahim Noroozi / AP
Environmental workers collect the bodies of birds that died from the bird flu in a lake in Linum, Brandenburg, Germany, on October 27, 2025.

Bhawika Chhabra / Reuters
A Hindu woman with sindhoor, or “vermilion powder,” on her forehead stands in water as she worships the sun god on the banks of the Yamuna River during the Hindu festival of Chhath Puja in Noida, India, on October 28, 2025.

Ina Fassbender / AFP / Getty
Bayern Munich fans burn flares and display banners prior to the German Division I Bundesliga football match between Borussia Mönchengladbach and FC Bayern Munich in Mönchengladbach, Germany, on October 25, 2025.

Michael Probst / AP
A car drives along the fall-colored woods of the Taurus region near Frankfurt, Germany, on October 27, 2025.

Ravi Kumar / Hindustan Times / Getty
Students from the Center for Social Work painted their hands for animal welfare to mark the International Day of Care and Support at Panjab University on October 29, 2025, in Chandigarh, India.